Birnengitterrost
erkennen und behandeln
von fritz borke
9/25/20241 min read


### Birnengitterrost
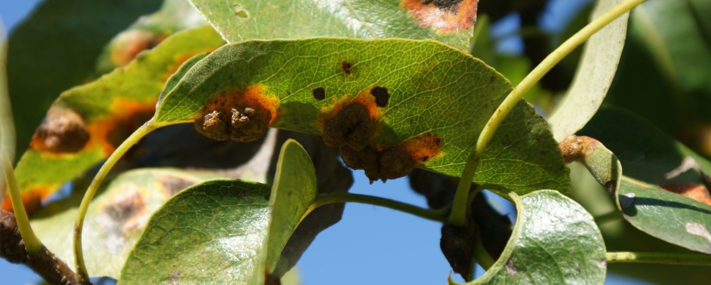
Birnengitterrost ist eine Pilzkrankheit, die durch orangefarbene Flecken auf Birnenblättern erkennbar ist und den Pilz Gymnosporangium sabinae als Auslöser hat. Dieser Pilz wechselt zwischen Birnenbäumen und Wacholdersträuchern, was seine Bekämpfung erschwert.
### Ursachen und Symptome
Der Pilz befällt Birnen im Frühjahr, wenn der Wind Sporen von infizierten Wacholdern verbreitet. Dabei kann der Pilz bis zu 500 Meter zurücklegen. Typische Symptome sind orangefarbene Flecken und Verdickungen auf den Blättern, die zu Blattverlust und Schwächung des Baumes führen.
### Prävention
- Standortwahl: Vermeiden Sie wenn möglich Wacholdersträucher in der Nähe
- Widerstandsfähige Sorten: Pflanzen Sie resistente Birnenarten, wie ‘Alexander Lucas’ oder ‘Gute Luise’.
- Regelmäßige Baumpflege und Schnitt helfen, den Baum gesund zu halten.
### Bekämpfung
#### 1. Chemische Mittel
Fungizide bekämpfen den Pilz effektiv, sollten aber nur gezielt verwendet werden.
#### 2. Hausmittel
Knoblauchsud und Schachtelhalm stärken die Pflanze und wirken vorbeugend.
#### 3. Entfernen befallener Teile
Befallene Blätter sollten sofort im Frühjahr entfernt und in den Sondermüll entsorgt werden.
### Fazit
Birnengitterrost ist schwer vollständig zu verhindern, kann aber durch regelmäßige Kontrollen, natürliche Mittel und wenn möglich durch Verzicht auf Wacholder in der Nähe erfolgreich eingedämmt werden. Resistente Birnensorten und eine gute Baumpflege sind entscheidend für den Schutz vor erneutem Befall.
Ressourcenschonender Minimalismus im Design, weniger CO2.
